さくラさく小径
更新日:2025年10月22日
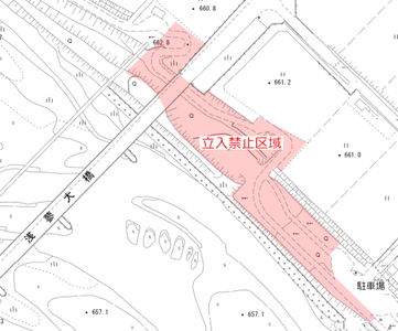
浅蓼大橋付近の遊歩道の通行止めについて
通行止め区域
浅蓼大橋の工事のため、浅蓼大橋付近の遊歩道が下の期間で通行止めになります。通行止めとなる区域は、通行止め区域図をご覧ください。
通行止め期間
- 令和7年10月20日~10月24日
- 令和7年12月1日~令和8年2月1日(月曜日~金曜日)
- 令和8年2月2日~令和8年4月30日
通行止め解除
- 令和7年10月25日~11月30日
- 令和7年12月1日~令和8年2月1日(土曜日、日曜日)
上記通行止め期間は令和7年10月15日現在の予定となります。工事の進捗等に伴い変更となる可能性があるため、通行止め期間中の一部通行可能期間も含めて通行止めの状況は、現地の案内看板等によりお知らせします。
工事の詳細については、下の連絡先にお問い合わせください。
長野県佐久建設事務所整備課整備第一係(電話:0267-82-8275)
さくラさく小路

さくラさく小径は、千曲川の豊かな自然環境を活かして、水と緑にふれあえる憩いの場として整備したもので、佐久市のシンボルとなる公園です。
公園の名称は『佐久』・『桜』・『咲く』をもとにして名付けられました。
一年を通して、ジョギングや散歩を楽しむ方々で賑わっています。
春には、桜が一面に咲き誇りお花見にも最適な公園です。
1.5kmの遊歩道にはあずまや、小川、噴水などが整備され、120本余りのソメイヨシノをはじめ、シバザクラなどの様々な花が公園の四季を彩ります。園内は清冽な千曲川が流れる佐久平を表現した『水』・春には桜の花が満開の『花』・佐久平を取り囲む山々を表現した『遊』の3つのゾーンで構成され、千曲川の瀬音を楽しみながらの散策には最適の場所となっています。
| 所在地 | 佐久市中込(浅蓼大橋下千曲川沿い) |
||
|---|---|---|---|
| 駐車場 | あり | ||
トイレ |
男子 | 女子 | 多目的 |
| ○ | ○ | ○ | |
| 遊具 | なし | ||
| 主な施設 | トイレ、四阿、水飲み、水景施設 | ||
※凍結による水道管の破損防止のため、水飲みなど外水道と一部のトイレについては、冬期間(11月中旬から4月中旬まで)は使用できません。
園内におけるペットの散歩およびバーベキューについて
さくラさく小径では、園内の一部エリアに限り、ペットの散歩およびバーベキューの実施を可能としております。
ペットの散歩およびバーベキューの実施が可能な範囲については、下のイメージ図をご覧ください。

アクセスマップ
イベント・出店などを行う場合
イベントや集会、出店などを行う場合は、こちらのページをご覧ください。
バーベキューを行う場合
バーベキューを行う場合は、公園でのバーベキューのページをご覧ください。
